Our work speaks for itself.

From concept to completion, our recent projects demonstrate care, innovation, and measurable impact. It is in this space that creativity meets opportunity.

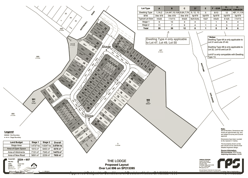
The 81 Lot Transformation

In 2019, Avon Estates approached me to reimagine an existing townhouse development along the banks of the North Pine River in Murrumba Downs. The estate, originally approved as an 81-lot townhome project, faced a number of challenges—neighbourhood pushback, environmental concerns, flood risks, and minimal buyer interest due to body corporate and strata requirements.

My role was to review the development, coordinate all stakeholders, and implement solutions that would transform the estate into a desirable, freehold luxury terrace community. This involved reworking lot sizes, updating facades and materials, and navigating a complex MCU to ensure the final product met market demand while respecting environmental and council requirements.

Key Challenges & Solutions

  • Flood and environmental concerns: Developed strategies to optimise riverfront potential while ensuring compliance with regulations.

  • Pre-existing DA and low buyer interest: Reimagined the estate to appeal to a wider market and enhance overall value.

  • Irregular lot sizes: Adjusted layouts and design choices to better meet buyer needs and market trends.

By taking a creative design-led approach, we turned a high-cost, low-interest development into a luxury terrace estate with strong market appeal. This project showcases my ability to balance complex regulations, design innovation, and buyer needs to create developments that are practical, attractive, and saleable—while keeping the process collaborative and enjoyable for everyone involved.


Previous
Previous

15 Lot Development

Next
Next

Duplex + Secondary Dwelling